-
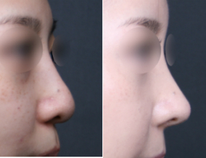
- 노화의 상징 주름, 이마·목주름까지 제거해야 ‘완벽 동안효과’
- 피부 표면에 깊게 골이 패거나 살이 처지면서 나타나는 주름은 노화의 징후다. 나이를 먹어가면서 피부 속 콜라겐 및 엘라스틴 함량이 줄고, 피부 탄력이 떨어...
- 2015-02-09
-
- 국내 자살로 인한 사회경제적 손실 6조4769억원
- 2012년 자살로 인한 사회경제적 손실이 6조4769억원에 달하는 것으로 나타났다. 국민건강보험공단 건강보험정책연구원은 ‘건강보장정책 우선순위 설정을 위한 주요 질병의 사회경제적 비용 분석’ 연구결...
- 2015-02-09
-
- 삶의 질 결정짓는 중요한 요소 성생활 … 여성성형, 대체 뭐길래?
- 여성 사이에서 은밀하게 정보교류가 이뤄지는 시술로 비단 성형수술에 그치지 않는다. ‘예전과 같은’ 자신감을 찾기 위해 여성수술을 고려하는 사람도 적...
- 2015-02-09
-
- 꽃중년 방해하는 난청 … 보청기·임플란트·스테로이드 중 내게 맞는 치료법은?
- 100세 시대를 맞아 40~50대 중·장년층도 ‘꽃중년’을 꿈꾸며 외모가꾸기에 여념이 없다. 이런 그들에게 예상치 못한 걸림돌이 되는 게 난청이다. 고령화사회로 접어들며 난청 환자는 꾸준히 늘고 있다. 국...
- 2015-02-08
-
- 수면 중 다리에 벌레 기어다니는 느낌 ‘하지불안증후군’ … 극심한 수면장애 초래
- 인천에 사는 31세 직장 여성 안모 씨는 요즘 괴로운 밤을 보내고 있다. 잠을 자려고 누우면 다리 한쪽이 쑤시는 것 같고, 누군가 잡아당기는 느낌이 들기도 한다. 자세를 바꾸면 증상이 조금 나아졌다가 다...
- 2015-02-08
-
- 폭식증, 여성이 남성보다 15배 많아 … 20대 여성서 두드러져
- 국민건강보험공단은 2008~2013년 건강보험 진료비 지급자료를 분석한 결과 ‘폭식증’(Bulimia nervosa) 전체 진료인원은 2008년 1501명에서 2013년 1796명으로 연평균 3.7% 증가했다고 8일 밝혔다. 끼니를 걸러 배가 ...
- 2015-02-08
-
- ‘골든 타임’ 지키는 제세동기, 알아야 생명 살린다
- 2000년 4월 18일 서울 잠실야구장에서 열린 LG트윈스와 롯데자이언츠의 프로야구 경기에서 임수혁 선수가 갑자기 쓰러졌다. 급성 심장마비였다. 당시 갑자기 심장이 멎었던 그를 살릴 수 있는 유일한 방법은...
- 2015-02-06
-
- 절개·비절개 모발이식의 기본, 안전한 공여부에 대한 새로운 시각
- 최근 조사결과 국내 탈모 인구가 1000만을 넘은 것으로 나타났다. 탈모 환자들이 궁극적으로 원하는 것은 풍성한 모발이다. 약을 복용해도 탈모의 진행을 멈추...
- 2015-02-06
-
- 사각턱보톡스로 살 빠지듯 자연스럽게 갸름한 턱라인 갖기
- 성형은 수술 전과 후의 차이가 확연히 다른 경우가 많다. 얼굴형에 큰 변화를 주었을 때 주로 이런 양상이 나타난다. 특히 각진 턱을 갸름하게 만들어주는 사...
- 2015-02-06
-
- 젊고, 술도 안마시는데 ‘높아진 간수치’ … 간건강 지키는 비결
- 직장인 정모 씨(28·여)는 지난해 건강검진 결과를 받고 적잖이 놀랐다. 평소 특별히 지나치게 음주를 즐기는 것도 아닌데 유독 간수치만 눈에 띄게 높았기 때...
- 2015-02-05
-
- 눈코 재수술, 의사·환자간 협력 및 균형이 관건
- 지난 3일 ‘성형수술 부작용 피해자 10명 중 9명은 재수술받거나 재수술이 필요한 것으로 나타났다’는 뉴스가 보도됐다. 한국소비자원은 최근 2년 동안 접수...
- 2015-02-05
-
- 허리·다리통증 유발 척추관협착증, 풍선으로 치료한다
- ‘인체의 기둥’으로 불리는 허리는 머리뼈부터 골반뼈까지 연결해 인체의 중심축을 이루고 평형을 유지하는 역할을 한다. 중요한 기관인 만큼 사용빈도가 ...
- 2015-02-05
-
- 설 명절증후군, 소화불량·설사·변비 등 소화기증상 최다
- 민족 최대의 명절인 설이 보름 앞으로 다가왔다. 오랜만에 만난 가족과의 즐거운 시간, 풍성한 먹거리 등은 생각만 해도 즐겁지만 한편으로 먼 이동거리, 고부 갈등, 금전적인 부담감 등 현실적인 고민도 ...
- 2015-02-04
-
- 비만클리닉 인기, 지방분해주사보다 효과적인 ‘몸축주사·카복시’
- 한국 여성 대부분은 자신의 몸매에 고민하며 추운 날씨에도 다이어트를 멈추지 않는다. 식이요법·운동 등에 그치지 않고 취약한 부위를 개선하기 위해 병원...
- 2015-02-04
-
- 마돈나·오프라의 힐링법 … ‘더 베다’ 국내 첫 아유르베다 치유법 선봬
- 국내에서 처음으로 5000년 인도정통의학 아유르베다(Ayurveda)를 경험할 수 있는 ‘더 베다’(the Veda)가 서울 역삼동에 오픈했다. 국내에서 아직 생소한 아유르베...
- 2015-02-04
-
- 얼굴 나이 거꾸로 돌리는 ‘리프팅시술’
- 사람은 누구나 젊고 아름다운 모습을 오래 유지하고 싶어한다. 세기의 미녀인 이집트의 클레오파트라조차 자신의 아름다운 미모를 잃지 않기 위해 갖은 노력...
- 2015-02-04
-
- S라인 과도한 집착, 허리건강에 독 … 원푸드다이어트 피해야
- 볼륨 있는 가슴과 잘록한 허리로 대표되는 아름다운 S라인은 완벽한 몸매의 여성을 뜻한다. 늘 몸매에 신경 써야 하는 연예인이나 모델뿐만 아니라 일반인들도 4계절 내내 S라인을 만들기 위해 노력한다. ...
- 2015-02-04
-
- 여드름흉터 자가치료 … 혹 떼려다 혹 붙이는 격
- 최근 피부미용에 대한 관심이 높아지면서 각종 포털사이트의 블로그, 카페, 지식검색 등에는 관련 상품 정보와 체험담 등이 넘쳐난다. 관련 홈케어 정보는 일...
- 2015-02-04